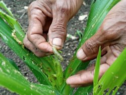
Info Jaro – Serangan hama ulat grayak dilaporkan menyerang tanaman jagung milik petani di sejumlah…
Info Jaro
Recent News
Pemkab Banjar catat lebih dari 122.000 warga terdampak banjir
Info Jaro – Pemerintah Kabupaten (Pemkab) Banjar mencatat lebih dari 122.000 warga terdampak banjir yang…
Nadiem Makarim: Saya dilahirkan dalam keluarga pejuang antikorupsi
Info Jaro – Mantan Menteri Pendidikan, Kebudayaan, Riset, dan Teknologi, Nadiem Anwar Makarim, menegaskan komitmennya terhadap…
Cruise Pearl Discovery Darwin Bakal Rutin Bawa Wisatawan Australia ke NTT
Info Jaro – Kabar baik bagi sektor pariwisata Nusa Tenggara Timur (NTT). Kapal pesiar Pearl Discovery…
Waspada Cuaca Buruk, KSOP Tutup Pelayaran Kapal Wisata di Labuan Bajo
Info Jaro – Otoritas pelabuhan melalui Kantor Kesyahbandaran dan Otoritas Pelabuhan (KSOP) Labuan Bajo secara…
Bupati Sumba Timur Umbu Lili Pekuwali Sampaikan Ucapan Selamat Natal 2025
Info Jaro – Bupati Sumba Timur Umbu Lili Pekuwali menyampaikan ucapan Selamat Natal 2025 kepada…
MUI Banjarmasin gelar seminar isu lingkungan
Info Jaro – Majelis Ulama Indonesia (MUI) Kota Banjarmasin menggelar seminar bertema isu lingkungan sebagai bentuk…
ASN Terduga Pelaku KDRT di Desa Fatumuti TTU Ditahan Polisi
Info Jaro – Seorang aparatur sipil negara (ASN) yang diduga sebagai pelaku kekerasan dalam rumah tangga…
Kolaborasi Jaringan Aktivis, Gereja dan BUMN di Kupang Bantu Warga Rentan
Info Jaro – Upaya membantu warga rentan terus digencarkan di Kota Kupang, Nusa Tenggara Timur (NTT),…
Anak-anak NTT Soroti Literasi Digital dan Ancaman Radikalisme
Info Jaro – Anak-anak dan remaja di Provinsi Nusa Tenggara Timur (NTT) mulai menunjukkan kepedulian serius…
No More Posts Available.
No more pages to load.


